330 药材苍耳子脱皮机要的就是这个效果
- 品牌:金富民
- 型号:330
- 产地:山东省临沂市河东区凤凰岭街道大华机械厂
- 供应商:临沂市河东区大华机械厂
- 供应商报价:面议
- 标签:药材苍耳子脱皮机要的就是这个效果,-1,临沂市河东区大华机械厂
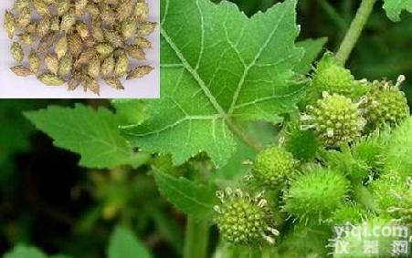
药材苍耳子脱皮机要的就是这个效果:苍耳子属于常用中草药,具有散风除湿通窍等功效。苍耳子脱皮用临沂大华机械厂生产的330型砂轮式脱皮机,经用户使用效果不错,倒进的是带刺的,出来的是溜滑的籽粒。要的就是这个效果。
药材苍耳子脱皮机要的就是这个效果该机为立式结构,采用钢板焊接机体,主轴竖向穿过机体,下端安装皮带轮与风扇,上端安装一个锥度砂轮,砂轮外围是一圈筛网,在砂轮与筛网之间形成一个空隙成为粮食脱皮室,工作时,粮食由料斗加入,由大小闸门控制进入脱皮室内,粮食在砂轮的旋转磨搓、粮食与筛网的磨搓、粮食自身的磨搓作用下,物料被脱掉外皮,此时风扇产生的风力吹进脱皮室,将磨搓掉的粮食皮屑吹过筛网,进入储料布袋,脱掉外皮的粮食籽粒,由出米口排出机外。
:专业脱玉米、小麦、大豆等粮食的皮,可以脱各种中药材如苍耳子、牡丹籽、决明子等脱皮效果很好,对粮食仁、中药材破损率低,广泛适用于粮食加工企业、药材生产厂家等单位使用。
山东临沂大华机械厂Z新研制的6TS-450型粮食脱皮机式目前国内Z大型号的砂轮式五谷杂粮脱皮机,国内*一家生产。由于其产量大,效率高深受各地饲料加工厂和粮食食品加工厂的欢迎。尤其适合于大麦脱皮,加工大小玉米碴子,小麦脱皮和各类黄豆、黑豆、大豆、绿豆等豆类的脱皮。
脱皮机型号规格及简易参数如下:
粮食脱皮机 型号:6ST-200 动力:2.2KW (220V/380V)产量:50-130KG/H(玉米)
粮食脱皮机 型号:6ST-330 动力:7.5KW(380V) 产量:280-400KG/H(玉米)
粮食脱皮机 型号:6ST-450 动力:22KW(380) 产量:900-1300KG/H(玉米)
用途:对玉米,高粱,小麦,大豆、绿豆和黑豆、豌豆等豆类,青稞,大麦,小米等谷类粮食进行脱皮。中药材:苍耳子、牡丹籽、荆种子、决明子等。
厂址:山东省临沂市河东区凤凰岭街道大华机械厂
: